Mayfield Ny Radar Weather . west wind around 18 mph, with gusts as high as 30 mph. interactive weather map allows you to pan and zoom to get unmatched weather details in your local neighborhood or half a world. satellite and doppler radar images for mayfield, ny. today’s and tonight’s mayfield, ny weather forecast, weather conditions and doppler radar from the weather channel and. Easy to use weather radar at your fingertips! interactive weather map allows you to pan and zoom to get unmatched weather details in your local neighborhood or half a world.
from www.youtube.com
Easy to use weather radar at your fingertips! interactive weather map allows you to pan and zoom to get unmatched weather details in your local neighborhood or half a world. west wind around 18 mph, with gusts as high as 30 mph. today’s and tonight’s mayfield, ny weather forecast, weather conditions and doppler radar from the weather channel and. satellite and doppler radar images for mayfield, ny. interactive weather map allows you to pan and zoom to get unmatched weather details in your local neighborhood or half a world.
Mayfield, KY EF4 Short Tornado Radar Loop December 10, 2021 YouTube
Mayfield Ny Radar Weather interactive weather map allows you to pan and zoom to get unmatched weather details in your local neighborhood or half a world. satellite and doppler radar images for mayfield, ny. interactive weather map allows you to pan and zoom to get unmatched weather details in your local neighborhood or half a world. west wind around 18 mph, with gusts as high as 30 mph. Easy to use weather radar at your fingertips! interactive weather map allows you to pan and zoom to get unmatched weather details in your local neighborhood or half a world. today’s and tonight’s mayfield, ny weather forecast, weather conditions and doppler radar from the weather channel and.
From www.reddit.com
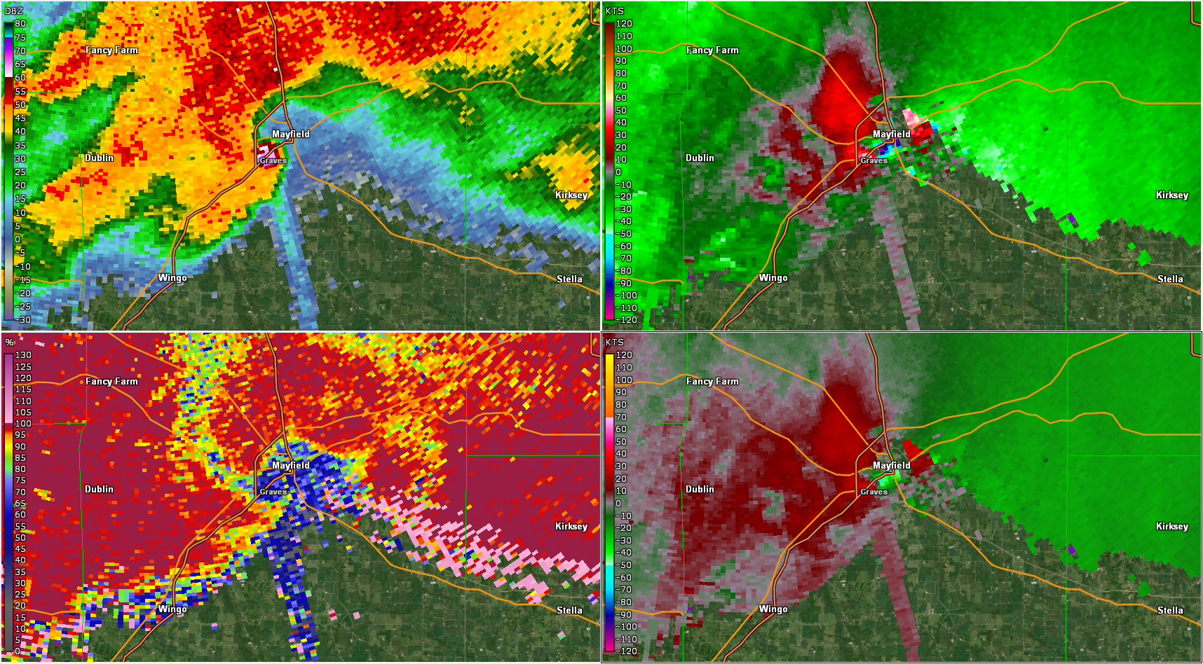
This is what the velocity map looks like when a tornado is directly Mayfield Ny Radar Weather interactive weather map allows you to pan and zoom to get unmatched weather details in your local neighborhood or half a world. satellite and doppler radar images for mayfield, ny. today’s and tonight’s mayfield, ny weather forecast, weather conditions and doppler radar from the weather channel and. west wind around 18 mph, with gusts as high. Mayfield Ny Radar Weather.
From www.interactivehailmaps.com
Interactive Hail Maps Hail Map for Mayfield, KY Mayfield Ny Radar Weather satellite and doppler radar images for mayfield, ny. today’s and tonight’s mayfield, ny weather forecast, weather conditions and doppler radar from the weather channel and. interactive weather map allows you to pan and zoom to get unmatched weather details in your local neighborhood or half a world. interactive weather map allows you to pan and zoom. Mayfield Ny Radar Weather.
From www.weather.gov
A rewiew of weather events of 2021 Mayfield Ny Radar Weather Easy to use weather radar at your fingertips! interactive weather map allows you to pan and zoom to get unmatched weather details in your local neighborhood or half a world. today’s and tonight’s mayfield, ny weather forecast, weather conditions and doppler radar from the weather channel and. satellite and doppler radar images for mayfield, ny. interactive. Mayfield Ny Radar Weather.
From www.interactivehailmaps.com
Interactive Hail Maps Hail Map for Mayfield, OH Mayfield Ny Radar Weather interactive weather map allows you to pan and zoom to get unmatched weather details in your local neighborhood or half a world. today’s and tonight’s mayfield, ny weather forecast, weather conditions and doppler radar from the weather channel and. interactive weather map allows you to pan and zoom to get unmatched weather details in your local neighborhood. Mayfield Ny Radar Weather.
From www.youtube.com
Mayfield, KY EF4 Short Tornado Radar Loop December 10, 2021 YouTube Mayfield Ny Radar Weather today’s and tonight’s mayfield, ny weather forecast, weather conditions and doppler radar from the weather channel and. satellite and doppler radar images for mayfield, ny. Easy to use weather radar at your fingertips! west wind around 18 mph, with gusts as high as 30 mph. interactive weather map allows you to pan and zoom to get. Mayfield Ny Radar Weather.
From www.weather.gov
Overview of the May 10th 2016 tornadoes, including videos and maps of Mayfield Ny Radar Weather satellite and doppler radar images for mayfield, ny. Easy to use weather radar at your fingertips! today’s and tonight’s mayfield, ny weather forecast, weather conditions and doppler radar from the weather channel and. interactive weather map allows you to pan and zoom to get unmatched weather details in your local neighborhood or half a world. west. Mayfield Ny Radar Weather.
From www.landsat.com
Aerial Photography Map of Mayfield, NY New York Mayfield Ny Radar Weather interactive weather map allows you to pan and zoom to get unmatched weather details in your local neighborhood or half a world. west wind around 18 mph, with gusts as high as 30 mph. Easy to use weather radar at your fingertips! interactive weather map allows you to pan and zoom to get unmatched weather details in. Mayfield Ny Radar Weather.
From www.miamihal.com
Hurricane Andrew Perspective from Max Mayfield — MiamiHal the smart Mayfield Ny Radar Weather west wind around 18 mph, with gusts as high as 30 mph. interactive weather map allows you to pan and zoom to get unmatched weather details in your local neighborhood or half a world. Easy to use weather radar at your fingertips! interactive weather map allows you to pan and zoom to get unmatched weather details in. Mayfield Ny Radar Weather.
From www.theclimateadaptationcenter.org
Historic December Tornado Outbreak Climate Adaptation Center Mayfield Ny Radar Weather satellite and doppler radar images for mayfield, ny. today’s and tonight’s mayfield, ny weather forecast, weather conditions and doppler radar from the weather channel and. Easy to use weather radar at your fingertips! west wind around 18 mph, with gusts as high as 30 mph. interactive weather map allows you to pan and zoom to get. Mayfield Ny Radar Weather.
From www.theweather.com
Mayfield, ID Weather 14 days Meteored Mayfield Ny Radar Weather interactive weather map allows you to pan and zoom to get unmatched weather details in your local neighborhood or half a world. Easy to use weather radar at your fingertips! interactive weather map allows you to pan and zoom to get unmatched weather details in your local neighborhood or half a world. today’s and tonight’s mayfield, ny. Mayfield Ny Radar Weather.
From www.interactivehailmaps.com
Interactive Hail Maps Hail Map for Mayfield, NY Mayfield Ny Radar Weather satellite and doppler radar images for mayfield, ny. Easy to use weather radar at your fingertips! interactive weather map allows you to pan and zoom to get unmatched weather details in your local neighborhood or half a world. interactive weather map allows you to pan and zoom to get unmatched weather details in your local neighborhood or. Mayfield Ny Radar Weather.
From www.timeanddate.com
Mayfield, New York, USA 14 day weather forecast Mayfield Ny Radar Weather west wind around 18 mph, with gusts as high as 30 mph. today’s and tonight’s mayfield, ny weather forecast, weather conditions and doppler radar from the weather channel and. satellite and doppler radar images for mayfield, ny. Easy to use weather radar at your fingertips! interactive weather map allows you to pan and zoom to get. Mayfield Ny Radar Weather.
From www.weather.gov
The Violent Tornado Outbreak of December 1011, 2021 Mayfield Ny Radar Weather today’s and tonight’s mayfield, ny weather forecast, weather conditions and doppler radar from the weather channel and. interactive weather map allows you to pan and zoom to get unmatched weather details in your local neighborhood or half a world. west wind around 18 mph, with gusts as high as 30 mph. Easy to use weather radar at. Mayfield Ny Radar Weather.
From www.interactivehailmaps.com
Interactive Hail Maps Hail Map for Mayfield, KY Mayfield Ny Radar Weather today’s and tonight’s mayfield, ny weather forecast, weather conditions and doppler radar from the weather channel and. Easy to use weather radar at your fingertips! interactive weather map allows you to pan and zoom to get unmatched weather details in your local neighborhood or half a world. interactive weather map allows you to pan and zoom to. Mayfield Ny Radar Weather.
From www.timeanddate.com
Town of Mayfield, New York, USA 14 day weather forecast Mayfield Ny Radar Weather interactive weather map allows you to pan and zoom to get unmatched weather details in your local neighborhood or half a world. west wind around 18 mph, with gusts as high as 30 mph. today’s and tonight’s mayfield, ny weather forecast, weather conditions and doppler radar from the weather channel and. satellite and doppler radar images. Mayfield Ny Radar Weather.
From whnt.com
Tornado Outbreak — December 10th11th, 2021 Mayfield Ny Radar Weather interactive weather map allows you to pan and zoom to get unmatched weather details in your local neighborhood or half a world. satellite and doppler radar images for mayfield, ny. Easy to use weather radar at your fingertips! interactive weather map allows you to pan and zoom to get unmatched weather details in your local neighborhood or. Mayfield Ny Radar Weather.
From www.landsat.com
Aerial Photography Map of Mayfield, NY New York Mayfield Ny Radar Weather satellite and doppler radar images for mayfield, ny. interactive weather map allows you to pan and zoom to get unmatched weather details in your local neighborhood or half a world. west wind around 18 mph, with gusts as high as 30 mph. Easy to use weather radar at your fingertips! interactive weather map allows you to. Mayfield Ny Radar Weather.
From www.reddit.com
Another tornado warning for Mayfield weather Mayfield Ny Radar Weather satellite and doppler radar images for mayfield, ny. west wind around 18 mph, with gusts as high as 30 mph. today’s and tonight’s mayfield, ny weather forecast, weather conditions and doppler radar from the weather channel and. interactive weather map allows you to pan and zoom to get unmatched weather details in your local neighborhood or. Mayfield Ny Radar Weather.